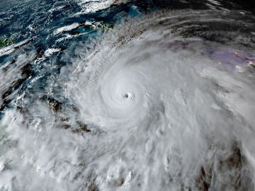
Huracán Melissa El huracán Melissa deja 50 muertos en el Caribe y más de 2.000 cubanos han tenido que ser rescatados
Huracán El Huracán Melissa no cesa y deja 49 muertos y una destrucción masiva a su paso por el Caribe
HURACÁN Al menos 20 muertos, entre ellos 10 niños, por una riada causada en Haití por el huracán 'Melissa'
Imágenes espectaculares Los cazadores de huracanes nos muestran cómo se ve el huracán Melissa desde dentro
HURACÁN Tres muertos y 13 heridos por el impacto del huracán Melissa en Jamaica: se prevé vientos de 280 km/h
Lluvias torrenciales Lluvias torrenciales en el este, por un cóctel explosivo: la previsión de César Gonzalo
Ascenso térmico César Gonzalo avisa de lo que viene el fin de semana: "De un sábado de veranillo, a un domingo con los restos de un huracán"
Tiempo estable César Gonzalo anuncia que los restos de un huracán traen cambios en el tiempo: hasta entonces estabilidad con tardes más cálidas
Contraste térmico César Gonzalo avisa de lo que viene: "Amaneceres de inverno, tardes más cálidas, y un huracán en camino"
Temperaturas por debajo de lo normal Aún con frío, vigilando a un huracán que se dirige a España: la previsión de César Gonzalo
Primeros cambios Una DANA y los restos de un huracán traen cambios al tiempo de esta semana: la previsión de César Gonzalo
CICLÓN TROPICAL El huracán Erin mantiene en alerta a Carolina del Norte: marejada ciclónica y olas de hasta nueve metros
Huracán Milton Detenido el hombre que se hizo popular por resistir en un bote al huracán Milton en Estados Unidos
Inestabilidad generalizada César Gonzalo anuncia una semana de paraguas de la mano de los restos de dos huracanes y una borrasca
Huracán Milton Vídeo: Sobrevive al huracán Milton flotando sobre una nevera en medio del océano Atlántico