A SU LLEGADA A EEUU
Una aspirante demócrata elimina un tuit donde sugería que el "poder de la mente" detendría al huracán Dorian
La demócrata borró el tuit horas después del revuelo causado. No obstante, ha matizado que su publicación fue malinterpretada y volvió a publicar otro donde decía "que la paz de Dios sea con ellos y que sus corazones se consuelen mientras soportan la tormenta".

Publicidad
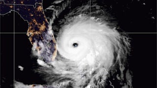
La aspirante presidencial demócrata estadounidense Marianne Williamson publicó y luego eliminó el tuit el miércoles que sugería que el "poder mental" podría detener el huracán Dorian que ya ha dejado 20 muertos a su paso en Bahamas.
"Las Bahamas, Florida, Georgia y las Carolinas … pueden estar en nuestras oraciones ahora. Millones de nosotros viendo a Dorian alejarse de la tierra no es una idea descabellada; es un uso creativo del poder de la mente. Dos minutos de oración, visualización, meditación para aquellos en el camino de la tormenta" , decía su publicación que horas después eliminó de su cuenta.
Más Noticias
Aunque no es la única polémica sobre el huracán. El presidente estadounidense, Donald Trump, exhibió un mapa aparentemente manipulado de la trayectoria del huracán Dorian para insistir en su teoría de que la tormenta llegó a amenazar al estado de Alabama, algo que contradice las afirmaciones del Gobierno y que podría suponer una violación de una ley federal.
Publicidad








