Los puertorriqueños se abastecen
Irma se convierte en huracán de categoría cinco en su ruta hacia el Caribe
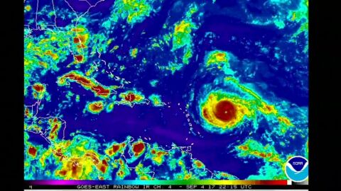
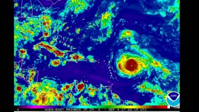
El huracán Irma, el cuarto de la temporada ciclónica en el atlántico, presenta vientos máximos sostenidos que aumentaron a 240 km/h y se esperan ráfagas más fuertes en las próximas 48 horas.

Publicidad
El huracán Irma subió a categoría 5, la máxima en la escala de intensidad Saffir-Simpson, mientras continúa su desplazamiento rumbo a las Antillas Menores, en el Caribe, informó el Centro Nacional de Huracanes (NHC) de EE.UU.
El "peligroso" huracán Irma, el cuarto de la temporada ciclónica en el Atlántico, presenta vientos máximos sostenidos de 150 millas por hora (240 km/h) y se encuentra a 320 millas (515 kilómetros) al este de las islas de Sotavento (Antillas Menores). Se desplaza hacia el oeste con una velocidad de traslación de 14 millas por hora (22 km/h), indicó el NHC en un boletín especial.
El gobernador de Florida (EE.UU.), Rick Scott, ha firmado una orden declarando estado de emergencia en los 67 condados del estado ante la llegada del huracán Irma, que subió a categoría 4 mientras continúa su desplazamiento sobre el Atlántico rumbo al Caribe.
Al emitir la Orden Ejecutiva 17-235, el gobernador Scott está asegurándose de que los Gobiernos locales tengan tiempo, recursos y flexibilidad para prepararse frente a esta peligrosa tormenta y no se les impida o retrase tomar las acciones necesarias para mantener a las comunidades seguras, indica un comunicado de la Gobernación. "El huracán Irma es una tormenta importante, potencialmente mortal y Florida debe estar preparada", subrayó el gobernador.
Más Noticias
-
Tres cargos y cadena perpetua: avanza la investigación del ataque contra Donald Trump
-
Última hora de la guerra de Irán en directo: Rusia muestra su apoyo a Irán y se ofrece como mediador
-
Salvador Burguet, sobre el intento de asesinato a Trump: "El Servicio Secreto no hizo su trabajo, hay una grieta de seguridad"
Autoridades de Puerto Rico, República Dominicana, Bahamas y de la costa del sureste de Estados Unidos permanecen este martes alerta ante el posible paso del huracán que podría afectar sus áreas el próximo fin de semana.
Publicidad








