Publicidad
ESTÁ A 850 KILÓMETROS DE TAPIEI
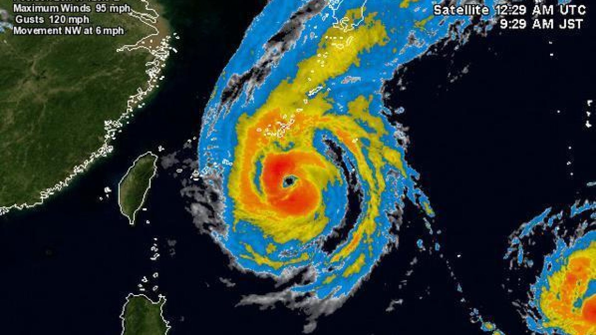
El tifón Fitow se dirige hacia China y el GP de Corea respira tranquilo
El tifón Fitow, que amenazaba con romper con la tranquilidad y la calma del GP de Corea, está tomando rumbo a China y ya se encuentra a 850 kilómetros de la ciudad de Taipei, capital de Taiwán. Según las previsiones, el tifón tocará tierra este domingo en las provincias de Zhejiang y de Fujian.
El GP de Corea va viendo cómo su principal amenaza va cambiando de dirección. El tifón Fitow, que se encontraba y se encuentra muy cerca del país surcoreano, ha tomado rumbo hacia China y se encuentra a unos 850 kilómetros al este de Taipei, capital de Taiwán. Según las previsiones, el tifón tomará tierra este domingo en las provincias de Zhejiang y de Fujian.
El país chino se encuentra en alerta naranja debido a la amenaza meteorológica y después de que hace poco más de una semana fuera el tifón Wutip, que dejó al menos seis muertos y 56 desaparecidos.
Con todo, no se descarta que una parte del tifón se haya 'separado' del núcleo del huracán y pueda rozar levemente Corea del Sur.
Publicidad









