EN REINO UNIDO
Encuentran un perro enterrado vivo con un clavo en la cabeza
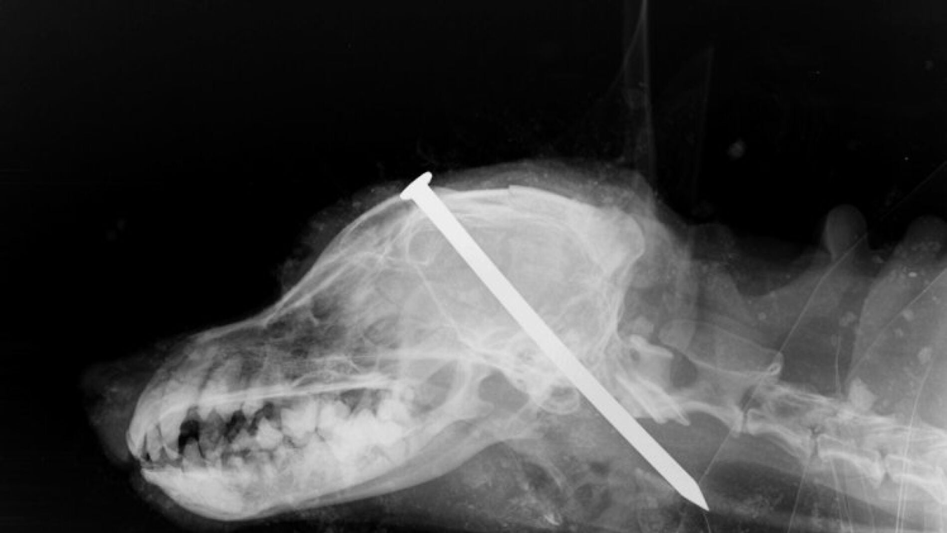
El perro estaba enterrado bajo un montón de tierra y tenía un clavo en mitad de la cabeza, entre los ojos. Tras ser encontrado por una pareja que paseaba cerca de donde estaba enterrado, fue llevado al veterinario, donde finalmente murió.

Publicidad
Una pareja que caminaba por el campo en el norte de Yorkshire ha encontrado un perro enterrado vivo con un clavo entre los ojos. El animal, que parece ser una mezcla de terrier, estaba bajo un montón de tierra llorando. Con una pala, la pareja excavó para sacar al perro, que estaba vivo pero exhausto.
Inmediatamente llamaron a la policía, y los agentes se encargaron de llevarlo al veterinario. Sin embargo, los médicos no pudieron hacer nada para poner fin al dolor que estaba sufriendo y falleció.
La Real Sociedad par ala Prevención de la Crueldad Animal ha publicado fotografías del suceso, para ayudar a encontrar a los responsables.
Más Noticias
-
Última hora de la guerra de Irán en directo: Irán amenaza con "ataques prolongados" si EEUU reanuda los bombardeos
-
Una conductora en prácticas precipita un autobús al río Sena: cuatro personas rescatadas
-
Jamenei califica de "vergonzosa" la derrota de EEUU en la guerra y augura un futuro brillante en el golfo Pérsico
El inspector de la RSPCA Nick Jones, explicó que después de diez años al servicio de la institución, nunca había visto algo tan horrible e inexplicablemente cruel. "Es un acto de crueldad y es inconcebible encontrar una explicación de por que alguien ha hecho esto".
Publicidad









